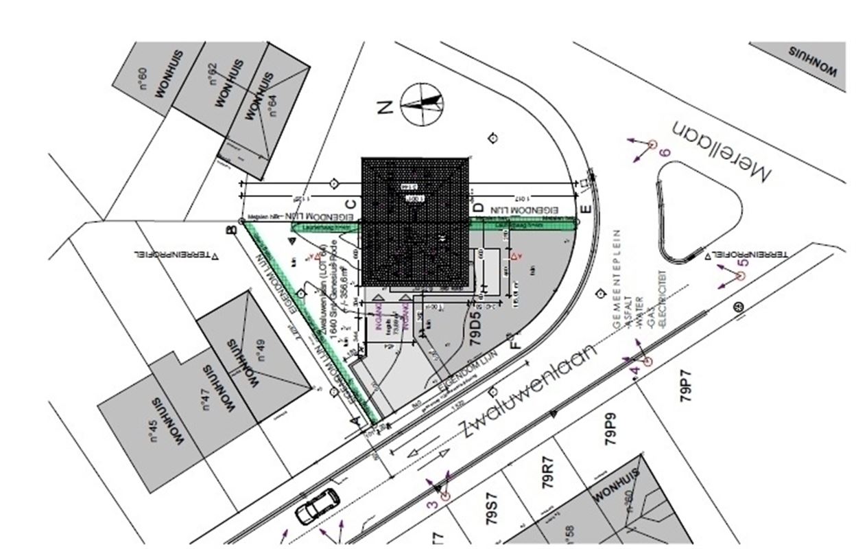
With its ideal orientation and peaceful setting, this 3A 65 ca (365m²) building plot is perfect for the construction of a spacious, light-filled villa.
Planning permission approved for the construction of a villa with 3 facades on 2 levels, with a floor area of 220m². Architect's plans available.
Between Rhode-Saint-Genèse and Waterloo, in the attractive De Hoek/ Grande Espinette neighborhood.
Set in a beautifully wooded street, the plot offers a peaceful setting close to fields.
The plot benefits from an excellent location. Close to De Hoek school and shops, a short walk from the Forêt de Soignes, the train station and a 15-minute drive from Brussels.
Convenient location, with easy access to public transport and major communication routes to Brussels or Walloon Brabant.
Urban planning information in order. Non contractual information. The seller reserves the right to refuse or accept an offer freely and autonomously, on the basis of several criteria such as the amount of the offer, suspensive conditions, ...
MORE INFO: 0471.722.144 - DELPHINE DEMOULIN
Planning permission approved for the construction of a villa with 3 facades on 2 levels, with a floor area of 220m². Architect's plans available.
Between Rhode-Saint-Genèse and Waterloo, in the attractive De Hoek/ Grande Espinette neighborhood.
Set in a beautifully wooded street, the plot offers a peaceful setting close to fields.
The plot benefits from an excellent location. Close to De Hoek school and shops, a short walk from the Forêt de Soignes, the train station and a 15-minute drive from Brussels.
Convenient location, with easy access to public transport and major communication routes to Brussels or Walloon Brabant.
Urban planning information in order. Non contractual information. The seller reserves the right to refuse or accept an offer freely and autonomously, on the basis of several criteria such as the amount of the offer, suspensive conditions, ...
MORE INFO: 0471.722.144 - DELPHINE DEMOULIN